Projects

With over 2,000 completed projects and 500 satisfied clients since 2020, RS Surveying has built a strong reputation for delivering accurate, timely, and dependable land surveying services. From homeowners to developers and municipalities, our team handles a wide range of small, medium, and large-scale projects with the same level of care and attention to detail. Our ability to deliver results quickly means smoother workflows for clients, consultants, and contractors alike. Our fast and precise execution means projects are completed with confidence.

City of Guelph

City of Guelph

RS Surveying Limited completed a topographic survey for the Infrastructure Planning, Engineering, Design, and Construction department under Engineering and Transportation Services, City of Guelph.

The scope of work focused on establishing right-of-way limits and collecting site servicing information and other key features for various street.

The project was completed on March 28, 2025.


Town of Stoufville

Town of Stoufville

RS Surveying Limited has completed multiple topographic surveys, boundary surveys, and reference plans for Capital Projects | Public Works, Town of Stouffville.


Dufferin Vista Subdivision

Dufferin Vista Subdivision

RS Surveying provide surveying services for Dufferin Vista phase 1 and Phase 2 Subdivision Development from base plan to up to registering the subdivision plan.


Woodbine Avenue - Oikogen Service Centre

Woodbine Avenue - Oikogen Service Centre

RS Surveying provided services from topographic surveying through to the completion of the as-built survey for the construction of a new commercial unit.


Rougemount Centre

Rougemount Centre

Design Build Group retained RS Surveying Limited to carry out a boundary and topographic survey for the Rougemount Centre property in Pickering.

The scope of work also includes surveying the underground service line network, as well as conducting a survey of Petticoat Creek and the adjacent deep slope area.


City of Pickering

City of Pickering

Keystone Bridge Management Inc. has retained RS Surveying to provide a topographic survey for the Hoover Bridge, Pickering. This topographic survey is used as a base plan for design purposes.


City of Markham

City of Markham

RS Surveying Limited has been subcontracted by Seeracon Limited. to provide as-built topographic survey and GIS mapping on behalf of the City of Markham Planning and Urban Design Department for the newly built Yorkton Park.


Township of Uxbridge

Township of Uxbridge

RS Surveying Limited has been contracted by Community Services, Township of Uxbridge provide a topographic and boundary survey for the Uxbridge Pool Renovation project.


City of Markham

City of Markham

RS Surveying Limited has been subcontracted by Seeracon Limited. to provide as-built topographic survey and GIS mapping on behalf of the City of Markham Planning and Urban Design Department for the newly built Yorkton Park.


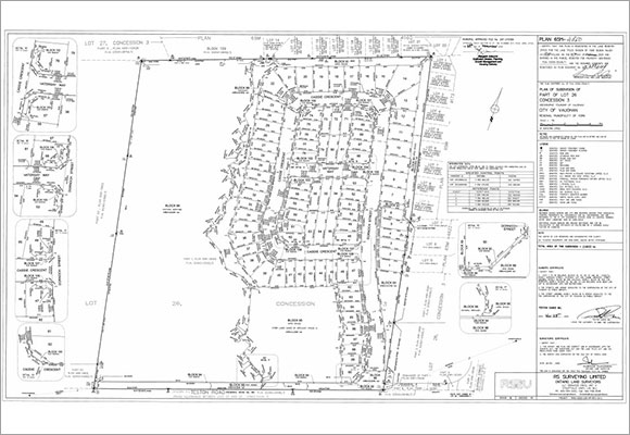
Teston Sand and UniQ Communities Subdivision

Teston Sand & UniQ Communities Subdivision

From developments similar to Teston Sand to large residential communities like UNIQ Communities, we provide end-to-end surveying services for subdivision and land development projects.

We support developers and consultants with:

  • Subdivision and severance surveys
  • Boundary analysis and title clarification
  • Registration-ready plans
  • Construction layout and as-built surveys

Our focus is precision, coordination, and timely delivery on complex development sites.

Shane and his team were quick and efficient. We really appreciated the quick turnaround we needed. Communication was excellent, and he responded right away to any/all our questions. We would definitely recommend Shane and his team. Very professional and efficient. Thanks Shane!

– Christine Cousins

Google Review: 5.0, 22 Reviews